43/9 Spitfire Drive, TEMORA
Land
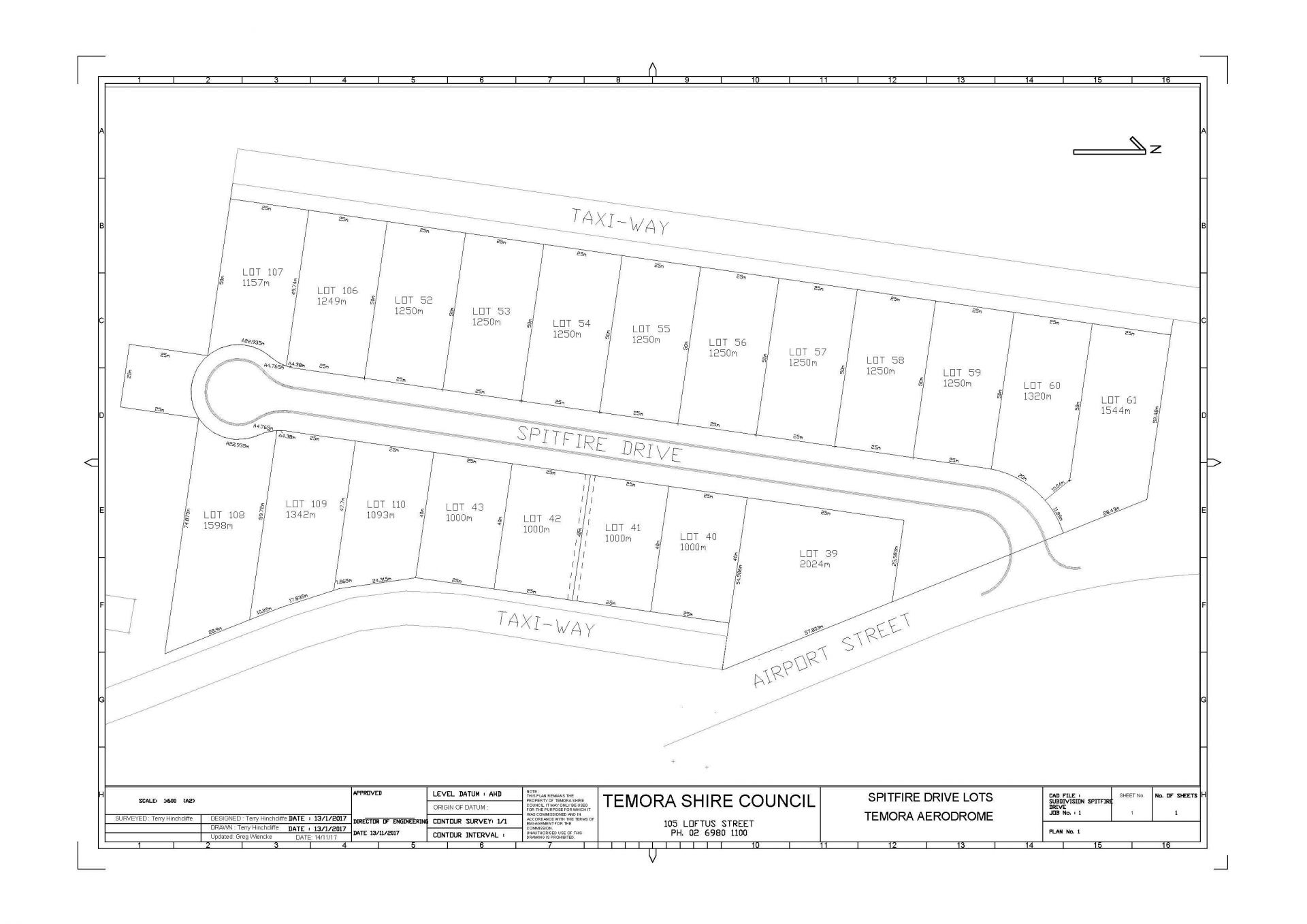
Temora Air Park - Spitfire Drive
Temora Air Park has grown to become one of the most sort after aviation address's in Australia. It's unique facilities allow residents to taxi their plane to their hanger right next to their house. Not only do you have immediate access to your recreational hobby or aviation business but live in a community of people who love aviation.
The latest release of Spitfire Drive comprises of 20 blocks ranging in size from 1,000 sqm to just over 2,000sqm, with all services connected. Power-Gas-Sewerage & Telecommunications.
Due to the high demand for this release particularly certain blocks, Spitfire Drive is being initially offered for sale by TENDER. Further information and tender documents are available shortly on our website. https://qplrural.com.au/airpark-estate/
The latest release of Spitfire Drive comprises of 20 blocks ranging in size from 1,000 sqm to just over 2,000sqm, with all services connected. Power-Gas-Sewerage & Telecommunications.
Due to the high demand for this release particularly certain blocks, Spitfire Drive is being initially offered for sale by TENDER. Further information and tender documents are available shortly on our website. https://qplrural.com.au/airpark-estate/
